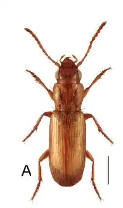
Sirdenus grayii
| Sirdenus grayii | |
|---|---|
| |
| Scientific classification | |
| Kingdom: | Animalia |
| Phylum: | Arthropoda |
| Class: | Insecta |
| Order: | Coleoptera |
| Suborder: | Adephaga |
| Family: | Carabidae |
| Genus: | Sirdenus |
| Species: | S. grayii
|
| Binomial name | |
| Sirdenus grayii (Wollaston, 1862)
| |
| Synonyms | |
| |
Sirdenus grayii is a species of beetle of the family Carabidae. It is found in the Palaearctic Region (Europe, Asia and North Africa), but also in the Afrotropical Region, the Canary Islands and on Cyprus.
Description
Adults reach a length of about 4–5 mm.
Biology
This species is frequently associated with plants of the Salicornioideae and Arthrocnemetea groups.
The maximum activity period principally occurs in spring, but it has been found from March to July. Adults occupy abandoned galleries excavated by some species of the genus Bledius.[1]
References
- ^ Part of this text is from “[https://europeanjournaloftaxonomy.eu/index.php/ejt/article/view/1967 Revision of the tribe Pogonini (Coleoptera, Carabidae, Trechinae) from the Ibero-Balearic region” by José Muñoz-Santiago, Vicente M. Ortuño.
This article incorporates text available under the CC BY 4.0 license.
