Silvanidae
| Silvanidae Temporal range:
| |
|---|---|
| |
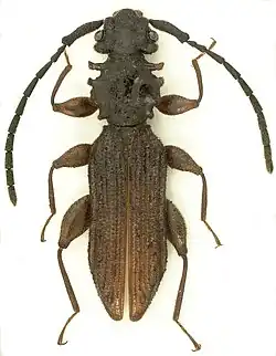
| Uleiota planata | |
| Scientific classification | |
| Kingdom: | Animalia |
| Phylum: | Arthropoda |
| Class: | Insecta |
| Order: | Coleoptera |
| Suborder: | Polyphaga |
| Infraorder: | Cucujiformia |
| Superfamily: | Cucujoidea |
| Family: | Kirby, 1837 |
| Subfamilies | |
| |
Silvanidae, "silvan flat bark beetles", is a family of beetles in the superfamily Cucujoidea,[1][2] consisting of 68 described genera and about 500 described species.[3] The family is represented on all continents except Antarctica, and is most diverse at both the generic and species levels in the Old World tropics.[2]
Description
Silvanids generally are small, brownish, flattened, pubescent and densely punctured beetles ranging from 1.2-15mm in length, and mostly with a 5-5-5 tarsal formula. They have short, strongly clubbed, to very elongate antennae, and frequently grooves or carinae on the head and/or pronotum. Many genera have the lateral margins of the pronotum dentate or denticulate. The family is divided unequally into two subfamilies: Brontinae and Silvaninae. The Brontinae, arranged in two tribes (Brontini and Telephanini) of 10 genera each, are larger, loosely jointed beetles with long antennae, an especially elongate scape, inverted male genitalia, and mandibular mycangia.[4] Both brontine tribes have recently been reviewed at the genus level.[5][6] The Silvaninae, which has not been divided into tribes, consists of 48 genera of mostly smaller beetles characterized by their closed procoxal cavities, mostly without mandibular mycangia, and non-inverted male genitalia.[2]
Taxonomy
The largest genera are Telephanus (109 species), Psammoecus (81 species), and Cryptamorpha (27 species) (all Brontinae: Telephanini) and the Old World silvanine genus Airaphilus (35 species). There have been a number of major taxonomic studies in the Silvanidae in recent decades, including Halstead (1973),[7] Sen Gupta and Pal (1996),[8] Pal (1981, 1985),[9][10][11] and Karner (1995, 2012).[12][13]

Investigations into the phylogenetic relationships within the family and between the Silvanidae and other cucujoids are at the preliminary stages. A phylogenetic analysis of the "primitive" cucujoids using morphological characters of larvae and adults found a close relationship between the Silvanidae and Cucujidae.[14] A molecular phylogenetic study primarily aimed at clarifying the status of the more "advanced" cucujoids nevertheless included exemplars of the basal taxa. It showed a close relationship between Passandridae and Silvanidae, and a more distant one with Cucujidae.[15]

Biology and habitats
Although all silvanids seem to be primarily fungivorous, the habitat where the various taxa are found varies. Members of the tribe Brontini primarily are found under dead bark, although Brontoliota are found on the outside of dead wood lying on the ground in wet forests and Protodendrophagus occur under rocks in alpine areas of New Zealand.[5] Brontini do not have lobed tarsomeres. Members of Telephanini usually occur on withered, pendant leaves, especially of Musaceae and Heliconiaceae. Telephanini usually have lobed tarsomeres. Silvaninae are found in subcortical habitats as well as in leaf-litter and soil. Two genera, Nepharis and Nepharinus, are inquilines of ants in Australia,[2] and two species of Coccidotrophus and one of Eunausibius occur in the petioles of ant-plants (Tachigalia spp.) in the American tropics, where they feed on honeydew produced by a mealybug (Hemiptera: Pseudococcidae).[16][17]

Ten genera are represented by species that have been moved widely through commerce and now have worldwide or nearly worldwide distributions (e.g., Ahasverus, Oryzaephilus, Silvanus, Cryptamorpha, Monanus.)[2][18] The most economically important genus is Oryzaephilus, with two common stored products pest species (O. surinamensis (L.), the sawtoothed grain beetle, and O. mercator (Fauvel), the merchant grain beetle), and several others that are sporadic pests [19] Other economically important stored products pests include Ahasverus advena (Waltl), Cathartus quadricollis (Guerin-Meneville), and Nausibius clavicornis (Kugelann).

Genera
- Acathartus Grouvelle, 1912
- Acorimus Halstead, 1980
- Afrocorimus Halstead, 1980
- Afronausibius Halstead, 1980
- Ahasverus Des Gozis, 1881
- Airaphilus Redtenbacher, 1858
- Aplatamus Grouvelle, 1912
- Astilpnus Perris, 1866
- Australodendrophagus Thomas, 2004
- Australohyliota Thomas, 2004
- Austronausibius Halstead, 1980
- Austrophanus Thomas 2008
- Brontoliota Thomas, 2004
- Brontopriscus Sharp, 1886
- Calpus Halstead, 1973
- Cathartosilvanus Grouvelle, 1913
- Cathartus Reiche, 1854
- Coccidotrophus Schwarz & Barber, 1921
- Cryptamorpha Wollaston, 1854
- Dendrophagella Thomas, 2004
- Dendrophagus Schoenherr, 1809
- Eunausibius Grouvelle, 1912
- Euplatamus Sharp 1899
- Indophanus Pal, 1982
- Macrohyliota Thomas, 2004
- Megahyliota Thomas, 2004
- Megapsammoecus Karner, 1995
- Metacorimus Halstead, 1997
- Microhyliota Thomas, 2004
- Monanus Sharp, 1879
- Nausibius Redtenbacher, 1858
- Neosilvanus Grouvelle, 1912
- Nepharinus Grouvelle, 1912
- Nepharis Laporte de Castelnau, 1869
- Notophanus Thomas, 2011
- Oryzaephilus Ganglbauer, 1899
- Parahyliota Thomas, 2004
- Parasilvanus Grouvelle, 1912
- Pensus Halstead, 1973
- Protodendrophagus Thomas, 2004
- Protosilvanus Grouvelle, 1912
- Psammaechidius Fairmaire, 1869
- Psammoecus Latreille in Cuvier, 1829
- Pseudonausibius Halstead, 1980
- Pseudosilvanus Grouvelle, 1912
- Saunibius Halstead, 1997
- Silvaninus Grouvelle, 1912
- Silvanoides Halstead, 1973
- Silvanolomus Reitter, 1912
- Silvanoprus Reitter, 1911
- Silvanops Grouvelle, 1912
- Silvanopsis Grouvelle, 1892
- Silvanosoma Brèthes, 1922
- Silvanus Latreille, 1807
- Synobius Sharp, 1899
- Synoemis Pascoe, 1863
- Telephanus Erichson, 1845
- Uleiota Latreille, 1796
Extinct genera
- Subfamily Brontinae Erichson, 1845
- Tribe Brontini Erichson, 1845
- †Cretoliota Liu, Slipiñski, Wang et Pang, 2019 Burmese amber, Myanmar, Mid Cretaceous (latest Albian-earliest Cenomanian)[20]
- †Protoliota Liu Slipiñski, Wang et Pang, 2019 Burmese amber, Myanmar, Mid Cretaceous (latest Albian-earliest Cenomanian)[20]
- Tribe Brontini Erichson, 1845
References
- ^ Thomas, M.C. 2002. Family 80. Silvanidae Kirby 1837. Pp. 322-326 In: Arnett, R. H., Jr., M. C. Thomas, P. E. Skelley, and J. H. Frank (editors). 2002. American Beetles. Vol. 2. Polyphaga: Scarabaeoidea through Curculionoidea. CRC Press, Boca Raton. xiv + 861pp.
- ^ a b c d e Thomas, M. C., and R.A. B. Leschen. 2010. Silvanidae Kirby, 1837. p. 346-350. In: Leschen, R.A.B., R.G. Beutel, and J.F. Lawrence. Coleoptera, Beetles. Vol. 2: Morphology and Systematics (Elateroidea, Bostrichiformia, Cucujiformia partim). Handbook of Zoology. Walter de Gruyter, Berlin.
- ^ Silvanidae Species List at Joel Hallan’s Biology Catalog. Texas A&M University. Retrieved on 15 May 2012.
- ^ Grebennikov, V. V. and R. A. B. Leschen. 2010. External exoskeletal cavities in Coleoptera and their possible mycangial functions. Entomological Science 13: 81–98.
- ^ a b Thomas, M. C. 2004. The Brontini of the world: A generic review of the tribe (Coleoptera: Silvanidae: Brontinae). Insecta Mundi 17: 1-31 (2003).
- ^ Thomas, M. C., and E. H. Nearns. 2008. A new genus of telephanine Silvanidae (Coleoptera: Cucujoidea), with a diagnosis of the tribe and key to genera. Insecta Mundi 0048: 1-14.
- ^ Halstead, D.G.H. 1973. A revision of the genus Silvanus Latreille (s.l.) (Coleoptera: Silvanidae). Bull. British Mus. Nat. Hist. (Ent.) 29:39-112.
- ^ Sen Gupta, T., and T.K. Pal. 1996. Fauna of India and the Adjacent Countries. Calvicornia [sic]: Coleoptera. Family Silvanidae. Zoological Survey of India. Calcutta, 262 pp.
- ^ Pal, T.K. 1981. On Monanus Sharp (Coleoptera: Silvanidae) from India. Oriental Insects 15:241-255.
- ^ Pal, T.K. 1981. A new genus and a species of Psammoecinae (Coleoptera: Silvanidae) from South India. Oriental Insects 15:257-261.
- ^ Pal, T.K. 1985. A revision of Indian Psammoecus Latreille (Coleoptera, Silvanidae). Records of the Zoological Survey of India, Miscellaneous Publication, Occasional Paper 71: 1-54.
- ^ Karner, M. 1995. A new genus and two new species of Telephanini, with a redescription of Psammaechidius spinicollis Fairmaire and notes on the genus Psammoecus Latreille (Coleoptera, Silvanidae, Uleiotinae, Telephanini). Coleoptera 8: 3-17.
- ^ Karner, M. 2012. A revision of African Psammoecus (Coleoptera, Silvanidae) and descriptions of two new species from the collection of the Musée royal de l'Afrique centrale. European Journal of Taxonomy 17: 1-31.
- ^ Leschen, R.A.B., J.F. Lawrence, and S.A. Slipinski. 2005. Classification of basal Cucujoidea (Coleoptera: Polyphaga): cladistic analysis, keys and review of new families. Invertebrate Systematics 19: 17-73.
- ^ Robertson, J. A., M. F. Whiting, and J. V. McHugh. 2008. Searching for natural lineages within the Cerylonid Series (Coleoptera: Cucujoidea). Molecular Phylogenetics and Evolution 46: 193–205.
- ^ Böving, A. G. 1921. The larvae and pupae of the social beetles Coccidotrophus socialis (Schwarz and Barber) and Eunausibius wheeleri (Schwarz and Barber) with remarks on the taxonomy of the family Cucujidae. Zoologica 3: 197–213.
- ^ Barber, H.S. 1928. A new Bolivian silvanid beetle from the myrmecodomatia of Cordia. Psyche 35: 167-168.
- ^ Halstead, D.G.H. 1993. Keys for the identification of beetles associated with stored products-II. Laemophloeidae, Passandridae and Silvanidae. Journal of Stored Products Research 29(2): 99-197.
- ^ Halstead, D.G.H. 1980. A revision of the genus Oryzaephilus Ganglbauer, including descriptions of related genera (Coleoptera: Silvanidae). Zool. J. Linn. Soc. 69:271-374.
- ^ a b Liu, Zhenhua; Ślipiński, Adam; Wang, Bo; Pang, Hong (June 2019). "The oldest Silvanid beetles from the Upper Cretaceous Burmese amber (Coleoptera, Silvanidae, Brontinae)". Cretaceous Research. 98: 1–8. doi:10.1016/j.cretres.2019.02.002. S2CID 134106281.
_male_(5359919769).jpg)