Pittsburgh International Airport
Pittsburgh International Airport (PIT) | |||||||||||||||||||||||
|---|---|---|---|---|---|---|---|---|---|---|---|---|---|---|---|---|---|---|---|---|---|---|---|
![]() | |||||||||||||||||||||||
![]() | |||||||||||||||||||||||
| Summary | |||||||||||||||||||||||
| Airport type | Public / Military | ||||||||||||||||||||||
| Owner/Operator | Allegheny County Airport Authority | ||||||||||||||||||||||
| Serves | Pittsburgh metropolitan area | ||||||||||||||||||||||
| Location | Findlay and Moon townships in Allegheny County, Pennsylvania, U.S. | ||||||||||||||||||||||
| Opened | May 31, 1952 | ||||||||||||||||||||||
| Hub for | Southern Airways Express[1] | ||||||||||||||||||||||
| Operating base for | Allegiant Air | ||||||||||||||||||||||
| Elevation AMSL | 1,202 ft / 366 m | ||||||||||||||||||||||
| Coordinates | 40°29′46″N 80°14′46″W / 40.496°N 80.246°W | ||||||||||||||||||||||
| Website | www | ||||||||||||||||||||||
| Maps | |||||||||||||||||||||||
![]() FAA airport diagram | |||||||||||||||||||||||
| Runways | |||||||||||||||||||||||
| |||||||||||||||||||||||
| Helipads | |||||||||||||||||||||||
| |||||||||||||||||||||||
| Statistics (2024) | |||||||||||||||||||||||
| |||||||||||||||||||||||
Pittsburgh International Airport (IATA: PIT, ICAO: KPIT, FAA LID: PIT)—originally Greater Pittsburgh Airport and later Greater Pittsburgh International Airport—is a civil-military international airport in Findlay Township and Moon Township, Pennsylvania, United States. About 10 miles (15 km) west of downtown Pittsburgh, it is the primary international airport serving the Greater Pittsburgh Region as well as adjacent areas in West Virginia and Ohio. The airport is owned and operated by the Allegheny County Airport Authority and offers passenger flights to destinations throughout North America, Central America, and Europe.[4] PIT has four runways and covers 10,000 acres (40 km2).[2][5] PIT is the largest civil/public airport in terms of land area in the state of Pennsylvania.[6]
First opened in 1952, the airport was initially served by five airlines and became a small hub for Trans World Airlines for over two decades. The airport underwent a massive $1 billion rebuilding and expansion that was largely designed to US Airways' specification so it could become one of their major hubs. Completed in 1992, the new airport was one of the most innovative in the world, dubbed the "airport of the future" by the New York Times,[7] and helped to pioneer modern airport design with its X-shape to reduce distance between gates, underground tram to transport passengers around the airport, and array of shopping options, all of which were cutting-edge at the time.[8][9] Traffic peaked at 20 million passengers in the late 1990s, and US Air peaked at 542 flights and 11,995 employees at the airport in 2001, and the airport was an important pillar of the Pittsburgh economy.[10][11] The downturn in air travel immediately after September 11 attacks badly harmed US Airways' financial state. US Air declared chapter 11 bankruptcy twice in a row, and abandoned Pittsburgh as a hub in 2004, eliminating thousands of jobs and nearly bankrupting the airport itself, which was built largely to suit US Airways' needs.[12][13] US Air's diminished capacity at Pittsburgh opened the door for other airlines to expand operations and better serve local Pittsburgh-area passengers rather than focus on connecting passengers.
The airport experienced a resurgence in the 2010s, doubling the number of carriers to 16 as the Allegheny County Airport Authority has aggressively courted airlines and lobbied for new passenger routes.[12] Southwest Airlines has increased its presence at the airport in recent years, overtaking American Airlines (which US Airways merged with) as the largest carrier in terms of passengers.[14] The airport is also a hub for regional carrier Southern Airways Express. Cargo operations have increased at the airport in recent years.[15]
Since the late 2010s, a number of developments have been made which include a $1.39 billion renovation due to open in 2025 after delays due to the COVID-19 pandemic.[16][17][18] In 2017, the same year that the renovation was announced,[19] the airport became the first in the country to reopen access to the post-security terminal for individuals who are not flying, as long as they can pass through security, after the federal government lifted restrictions put in place after 9/11.[20] In 2021, the airport became the first in the world with its own microgrid, which provides power to the entire airport with natural gas and solar power.[21] The ongoing renovation will create a new terminal for check-in, security, and baggage claim adjacent to the gates,[22] eliminating the need for the tram and increasing the number of parking spaces. Officials emphasized that the renovations would make the airport more suited to Pittsburgh, rather than to US Airways.[23] The project will not use any local tax dollars, and airlines will pay most of the costs.[24]
History
Early years
Until the beginning of World War II, Moon Township was mostly a rural agricultural area. It was not considered a suburb of downtown Pittsburgh as it was too distant. It was served solely by Pittsburgh-based state and federal services and media. In the early 1920s, John A. Bell of Carnegie purchased a number of small farms in Moon and established a commercial dairy farm on his 1,900 acres (8 km2) of land. He was bought out by Edward E. Rieck and his wife, and C.F. Nettrour, owners of the established Rieck's Dairy. They doubled the number of cattle at the farm.
Around 1940, the federal government, through the Works Progress Administration (WPA), determined that the Pittsburgh area needed a military airport to defend the industrial wealth of the area and to provide a training base and stop-over facility. The administration of President Franklin D. Roosevelt was continuing to invest in infrastructure across the country in the waning years of the Great Depression, before the US entered World War II, which had started in 1939. The agricultural expanses of Moon Township were attractive to airport planners in the city. The Civil Aeronautics Administration proposed $2.6 million to the county for a $6 million field in August 1941 ($55.6 million and $128 million present day dollars).[25] The county bought the Bell Farm, and federal agencies began construction of the runways on April 20, 1942, after the US had entered the war.
In 1944, Allegheny County officials proposed to expand the military airport with the addition of a commercial passenger terminal to relieve the Allegheny County Airport, which was built in 1926 and was becoming too small. Ground was broken on the new passenger terminal on July 18, 1946. The new terminal would eventually cost $33 million ($391 million present day dollars) and was built entirely by Pittsburgh-area companies. The new airport, christened as Greater Pittsburgh Airport (renamed Greater Pittsburgh International Airport in 1972 upon the opening of the International Arrivals Building) opened on May 31, 1952. The first flight was on June 3, 1952. In its first full year of operation in 1953, more than 1.4 million passengers used the terminal. "Greater Pitt" was then considered modern and spacious. The airport terminal was the largest in the United States, second only to Idlewild Airport's (now JFK Airport) in New York when it was completed five years later.[26][27] The airport's capacity is one of its most valuable assets.

The airport was designed by local architect Joseph W. Hoover. One of the features of his style is the use of simple, exposed concrete, steel, and glass materials. The terminal building was constructed in "stepped" levels: the first floor extended farther than the second, the second floor extended farther than the third, etc. Such a design meant that the uncovered roof of the lower level could be an observation deck. In addition to the observation decks, the rounded "Horizon Room" was on the fourth floor with a commanding view of the airport. The interior of the terminal building was in the contemporary International Style, as was the exterior. One of the memorable features of the lobby was the large compass laid in the floor with green and yellow-orange terrazzo. A mobile by Alexander Calder was another decorative feature of the lobby. The mobile hangs in the center core of the new airside terminal. A re-creation of the compass was installed in the new terminal at an exhibit dedicated to old "Greater Pitt".
Growth and hub years
The first five airlines of the Greater Pittsburgh Airport were Trans World Airlines (TWA), Capital Airlines (later part of United), Northwest, All American (later Allegheny Airlines, then USAir, and finally US Airways), and Eastern Airlines. The April 1957 Airline Guide shows 58 weekday departures on Capital, 54 TWA, 18 Allegheny, 8 United, 7 Eastern, 4 Northwest, 3 American and 2 Lake Central. The first jets in service at Pittsburgh were TWA 707s on a Los Angeles-Chicago-Pittsburgh loop in summer 1959.
The 1956 diagram shows runway 10/28 7500 ft, 5/23 5766 ft and 14/32 5965 ft. The longest runway was still 7500 ft when jets started in 1959 but was soon extended to 8000 ft. The 10500-ft runway 10L was added by 1965.
In 1959, the east dock was added to the terminal. On July 1, 1968, international airport status was obtained with the dedication of the first customs office at the complex.[28] Ground was broken for the International Wing, west of the original terminal building, in 1970. It opened in 1972 to accommodate federal inspection services; international flights (Nordair 737s to Canada) began in 1971. The airport expanded as load increased. In 1972, rotundas were added to the end of each dock to allow more gates. In the later 1970s growth in regional air travel created a need for more gates. In 1980 the South East Dock was opened. Even with these expansions, the terminal was too small.
From the 1960s to about 1985, TWA operated a small hub at Pittsburgh.[29] The carrier introduced service to London's Gatwick Airport on a Lockheed L-1011 TriStar in May 1981. This was the first route from Pittsburgh to Europe.[30][31] It lasted four months; TWA stated that too few passengers were traveling in first class, rendering the service unprofitable.[32] In May 1985, British Airways started a link to London's Heathrow Airport via Washington, D.C., using Boeing 747s.[33][34] Two days before the maiden flight, the airline had sent one of its Concordes to Pittsburgh to celebrate the launch of the route.[35][36]
In 1987, with the financial backing of USAir (then the dominant carrier in Pittsburgh), work commenced on a billion-dollar expansion.[37] USAir inaugurated a link to Frankfurt in June 1990. The flight aboard Boeing 767s benefited the various West German companies that had offices in the city.[38][39]
On October 1, 1992, the new terminal opened, with operations having been transferred overnight from the old terminal. (The old terminal was kept until 1999 to house remaining operations offices.) The new terminal had numerous innovative features, including an AirMall, with more than 100 retailers and eateries. The air mall and underground tram were considered cutting-edge. The new landside/airside design construction eliminated the need for connecting passengers to go through security more than once. The airport was equipped to handle up to 35 million passengers per year.[40] The modern and innovative Pittsburgh airport became a model for other airports around the world. Its design simplified aircraft movement on the airfield and enabled easy pedestrian traffic to the gates.
US Air expanded with the new airport, and by 1995 they had nonstops from PIT to 91 airports, plus 28 more on USAir Express. In 1997 the airport handled almost 21 million passengers, more than any previous year.[41][42] By the late 1990s growth had leveled off, with USAir concentrating on expanding at Philadelphia and Charlotte/Douglas International Airport, which had been a hub airport of Piedmont Airlines.

In August 2001, the airport had its busiest month ever with 2 million passengers and an average of 633 daily flights, and was on track for 2001 to be its busiest year ever. Then the September 11 attacks harmed the aviation industry, and US Air in particular, setting in motion the decline of Pittsburgh as a hub.[43] US Air began slashing jobs a week after the attacks and filed for chapter 11 bankruptcy reorganization in 2002. High operating costs at the airport put the US Airways hub in Pittsburgh at a serious disadvantage. By 2003, US Airways reported to be running a $40 million loss per year ($68.4 million present day dollars) operating its hub at Pittsburgh,[44] while also paying roughly 80% of the new airport's $673 million debt ($1.15 billion present day dollars) stemming from its requested construction of the new terminals.[45]
Just before emerging from bankruptcy in 2003, US Air canceled its leases at Pittsburgh without any notice to airport and county officials, a move that former Allegheny County Airport Authority executive director said was "completely immoral and unethical" in a 2021 interview.[43] US Air filed for bankruptcy again in September 2004.[46] Two months later, the carrier ceased service to London-Gatwick and Frankfurt, leaving the airport without any flights to Europe.[47][48][49] After failed negotiations to lower landing fees and debt obligations, the airline announced in December 2004 that it would be reducing operations at Pittsburgh, shifting hub operations to Charlotte and Philadelphia.[50] By the end of 2005 the airline had eliminated 7,000 jobs while operating roughly 200 flights per day, mostly domestic.[51] A year later, US Airways had only about 170 flights per day to and from Pittsburgh, most being domestic flights.[52] Unrelenting flight and job cuts continued through the decade; accompanied by the airline's closure of Concourse E on the Landside Terminal and a portion of Concourse A on the Airside Terminal. In 2007, US Air's market share in Pittsburgh dropped below 40% for the first time since the airport's expansion in 1992.[11] By the end of the decade, US Airways had reduced to 68 flights per day, operating from ten gates on Concourse B, and one US Airways Club location. Numerous US Airways ticketing and customer service counters were abandoned, and 15 gates on Concourse A and B were sealed off from the rest of the airport.[10] Pittsburgh's air traffic bottomed out in 2013 with 7.8 million passengers and 36 destinations.[43]
Despite de-hubbing the airport, US Airways chose Pittsburgh in 2008 for their systemwide flight operations control center, after a bidding war with Charlotte and Phoenix led to state and local subsidies totaling $16.25 million being offered to US Air to build the center at Pittsburgh.[53] The center worked on emergency operations for US Airways Flight 1549 after it landed in the Hudson River. The airline closed the center in 2015 as part of its merger with American Airlines. (The center was rebuilt as a 9-1-1 center for Allegheny County, which opened in 2019.[54]) In June 2009, Delta Air Lines commenced a route to Paris using Boeing 757s.[55][56] The carrier made it seasonal in 2011.[57]
Recent years

When the airport opened in 1992, only 20% of passengers started or finished their trip in Pittsburgh with the rest connecting; as of 2025, 95% of travelers start or begin their trip in Pittsburgh.[58] The closing of the US Airways hub allowed new low cost carriers to enter the market, creating more choices for local passengers.[43] Southwest Airlines began service at Pittsburgh in May 2005 and eventually became its largest carrier. Southwest's entry is credited with stabilizing the airport and providing reassurance for other carriers to expand service in the post-hub years.[59] The airport also expanded into other ventures, including the opening of a fracking well for natural gas deposits under its site in 2014.[60]

Allegiant Air commenced service in February 2015 and established a base of operations later that year.[61] Frontier Airlines re-entered the Pittsburgh airport in 2016 after a four-year absence.[62] Spirit Airlines commenced service to seven destinations in 2017.[63] Wow Air added year-round flights to Reykjavík in 2017. Wow left Pittsburgh due to financial difficulties in 2019[64] but Icelandair began flying to Reykjavík in 2024.[65] Alaska Airlines began service in 2019 with a nonstop route to Seattle/Tacoma.[66][67] British Airways began service to London-Heathrow in 2019 aboard a Boeing 787.[68]
In 2017, Pittsburgh was the first U.S. airport to be named Airport of the Year by Air Transport World.[69] Starting in September 2017, non-ticketed persons were allowed to access the airside terminal and gates, similar to pre-9/11 policy. Pittsburgh was the first airport (since 9/11) in the nation to allow non-passengers to pass through security to dine and shop in a post-security terminal. Participants can sign up for myPITpass on the airport's website and must pass through the alternate security checkpoint before continuing through to the Airmall in the airside terminal.[20] The airport became one of the first in the United States to use a new TSA system called Credential Authentication Technology, which phases out the use of boarding passes at TSA security checkpoints in favor of a stronger system that verifies passengers based solely on a government-issued ID.[70]
As airlines grounded planes in the early months of the COVID-19 pandemic, Pittsburgh airport allowed American Airlines and Republic Airways to park nearly 100 planes on the airport's expansive tarmac.[71] As airline travel rebounded, airlines added or expanded service at PIT. In July 2021, Breeze Airways began nonstop service to four cities[72] and has since expanded to 10 destinations. In October 2021, Sun Country Airlines announced it would enter the Pittsburgh market with service to its hub at Minneapolis/St. Paul.[73] In February 2024, monthly passenger counts at the airport surpassed pre-pandemic travel levels for the first time.[74] Later that year, in June, the TSA recorded 970,000 travelers through the checkpoint, the highest count since 2005. The airport counted 9.95 million passengers in all of 2024, the highest passenger count since 2006.[75]
New terminal

In September 2017, Allegheny County Airport Authority officials announced a $1.1 billion plan to renovate and reconfigure the terminal complex, including a new landside terminal and a new parking garage. Under the proposal, the current landside building would be demolished if another use is not found, and the number of gates would be reduced from 75 to 51. A new landside building would be constructed between the airside terminal's concourses C and D, with new security and baggage facilities, a new international arrivals area, and many other amenities to serve passengers. The board chairman of the Airport Authority, David Minnotte, said, "The people of Pittsburgh finally get an airport built for them and not USAir". No taxpayer dollars would be used to construct the new facility, and it will be instead financed with floating bonds, grants, passenger facility charges, and revenue from natural gas drilling on airport property.[76]
Construction was originally expected to begin in summer 2020 and the new terminal was slated to open in 2023.[77] In April 2020, however, airport officials decided to delay the selling of bonds and start of construction due to the coronavirus pandemic.[78] In February 2021, airport officials announced early site and construction work would begin in spring 2021 with an increased budget of $1.39 billion.[18][79] The airlines serving the airport agreed to fund $182 million in construction site preparation work for the project. An additional $28.8 million in funding will come from the Infrastructure Investment and Jobs Act.[80][81][82] Construction finally began in July 2021[16] and the project is expected to be completed in October 2025.[83]
Airport officials emphasized the local flair of the new terminal. Building materials were sourced locally, including the steel, and around 90% of construction workers live in the Pittsburgh region. The roof is intended to mimic the rolling hills of western Pennsylvania and the support columns are intended to resemble tree branches. The bridge and tunnel between the landside and airside terminals is intended to mirror the Fort Pitt Tunnel and Fort Pitt Bridge. An outdoor terrace will be accessible to passengers even after clearing security.[84]
Facilities
The airport is partly in Findlay Township.[85] The Air Reserve Station is in Moon Township.[86]
Runways
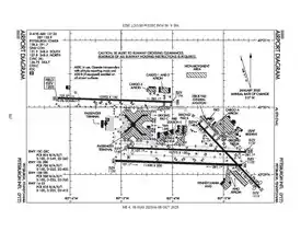
.jpg)
PIT has a wide, open layout and four runways: three east–west parallel runways and a fourth crosswind runway. The airport's two longest runways are 11,500 feet (3,510 m) and 10,775 feet (3,280 m), allowing PIT to accommodate the largest airliners. Because of the development of non-aviation related business on airport land, PIT can add only one more runway (this number was as high as four in the past). With three parallel runways, simultaneous landings and/or departures can be performed in nearly any situation.[87]
Runways 10L and 10R have Category III ILS (Instrument Landing System) approaches. Runway 28R is certified for Category I ILS and is authorized for Category II approaches but requires special aircrew and aircraft certification. Runways 28L and 32 have Category I ILS approaches. All runways have GPS approaches as well.
During westerly winds, Runway 28L serves as the primary arrival runway, while 28R serves as primary departure and secondary arrival runway. Runway 32 serves as the main arrival runway for general aviation traffic. During easterly winds, runway 10L serves as the primary arrival runway, 10R is the secondary arrival runway, while 10C is the departure runway.
Due to PIT's size, location, runway length, and equipment, the airport handles a large number of diversions of flights bound for the East Coast, especially Washington, D.C. and New York, during inclement weather conditions. The airport's large runways, distance from coastal weather systems, and microgrid equip it to handle even the largest international aircraft.[88] In recent years, Pittsburgh has handled several hundred diversions annually, with a record of 463 in 2018.[89]
Terminal

The airport complex consists of two main buildings, the "Landside Terminal" and the "Airside Terminal". The terminal consists of 75 gates on four concourses; only 56 gates are available for use.[90] After passing through the security checkpoint, passengers board one of two underground people movers that travel to the Airside Terminal, where all departure gates are located. All international arrivals, except for cities with United States border preclearance, pass through Concourse C. American Airlines has an Admirals Club on the mezzanine level of the airside terminal.[91] The Club Lounge opened in October 2017 in the C Concourse across from gate C-52 near the center core[92] and was renovated and expanded in 2019.[93] The airport also operates a free lounge for active duty military and veterans in concourse C.
- Concourse A contains 25 gates.
- Concourse B contains 24 gates.
- Concourse C contains 6 gates.
- Concourse D contains 7 gates.
There is an AirMall in the airside terminal, operated by Fraport, with numerous retail stores and restaurants. It was one of the first of its kind in an airport and paved the way for similar shopping experiences at other airports. Tenants in the airport are required to charge the same amount as they do at non-airport locations. Before 9/11, anyone could shop in the airport, but it was closed to non-travelers after 9/11. In 2017, the AirMall was reopened to non-travelers who obtained a free access pass from the airport, but this access is temporarily suspended.[94]
Ground transportation
PIT is located at Exit 53 of Interstate 376 and the Western Terminus Pennsylvania Route 576 (future I-576), and within 10 miles (20 km) of Interstate 79 and 15 miles (24 km) of Interstate 76, the Pennsylvania Turnpike. Interstate 70 to the south and Interstate 80 to the north are both less than an hour away. Just beyond Interstates 70 and 80, Interstate 77 to the west and Interstate 68 to the south are within 90 minutes of the airport.
PIT offers on-site parking patrolled by the Allegheny County Police. The local Grant Oliver Corporation ran the parking from the airport's opening in 1952 until the Allegheny County Airport Authority chose to switch to national contractor LAZ Parking, which took over in October 2022 and will also oversee new facilities planned to open in 2024. Grant Oliver offered a GO FAST Pass account to pay for parking electronically via E-ZPass. This system was renamed to PIT Express Pass by LAZ. LAZ also offers online parking reservations.[95][96][97][98] There are regular parking shuttles to the Long Term and Extended lots that can be accessed from the Baggage Claim level of the Landside Terminal.[99] There are four options for parking: Short Term, Long Term, Extended, and Economy. The economy option was added in 2021.[100] The short term garage has 2100 spaces and is attached to the landside terminal via the enclosed moving walkway. The long term section is also connected to the enclosed moving walkway and has 3,100 spaces available. The extended and economy sections have an outdoor walkway that leads to the enclosed moving walkway and have 8,000 spaces available.[99]
Bus service is also available from Downtown Pittsburgh and the city's University District (Oakland) via the Port Authority of Allegheny County's 28X Route. Mountain Line Transit's Grey Line also has service to areas south of Pittsburgh including Waynesburg, Pennsylvania; Morgantown, Fairmont, and Clarksburg, West Virginia.[101] BCTA Transit formerly served locations north and westbound from the airport. The Pittsburgh Light Rail currently does not stop at the airport.
Cargo area
Pittsburgh International Airport has a sizeable freight business, with a Free-trade zone of 5,000 acres (20 km2), access to three class-one railroad freight lines, one interstate highway, and a location a few miles from the nation's second largest inland port[102] and within 500 miles of 80% of the nation's population.[103] Four cargo buildings provide more than 183,000 square feet (17,001 m2) of warehouse capacity and over 450,000 square feet (41,806 m2) of apron space.[104] The airport has begun construction on a new 80,000 sq ft cargo facility with 17 truck loading docks and enough apron space for two Boeing 747 freighters to be loaded or unloaded simultaneously. The facility is scheduled to open in 2024.[103]
Cargo traffic has increased considerably in recent years as airport officials have pitched Pittsburgh to cargo carriers as a more efficient alternative to clogged hubs like New York and Chicago. In 2017, Qatar Airways launched twice-weekly cargo service at Pittsburgh, backed by $1.5 million in subsidies. The effort was not very successful at first as Qatar failed to meet tonnage goals, and in December 2019 the route was suspended. However, Qatar resumed the flight in 2020 without any subsidies, and as of 2022 had increased operations to 3-4 flights per week.[103] Several new cargo carriers began service to Pittsburgh in 2020 and 2021, including Cathay Pacific, SpiceXpress, and Amazon Air.[103] In 2021, nearly 250 million pounds of cargo goods touched down at PIT, the largest figure since 2004 and a 30% increase over 2020.[105]
The world's leading caterer for air and business, LSG SkyChefs, in 2007 chose Pittsburgh as its sole Western Hemisphere manufacturing facility. It expanded its customer service center on the cargo side of the airport by 20,000 square feet (1,900 m2) and now employs over 100 people with the capacity of making nearly 25 million meals per year for distribution to flights all over the Americas.[106] LSG SkyChefs cited the region's strategic location for air and truck transport to major suppliers and customers, as well as the airport's excellent record in maintaining and expanding capacity.
Microgrid
In 2018, the airport announced plans to construct its own microgrid, using natural gas and solar power as the primary power source for the airport,[107] protecting it from power outages.[108] In 2019, the airport authority awarded Peoples Natural Gas a 20-year contract to build, maintain, and operate the microgrid at no cost to the airport in exchange for the required land and an agreement to purchase the electricity for 20 years.[109] The microgrid was completed in July 2021, making Pittsburgh the first airport in the world to receive its electricity entirely from a microgrid.[110] The microgrid uses natural gas from the Marcellus Shale as well as solar panels.[21] Most of the energy comes from natural gas; the 9,360 solar panels can generate up to 13% of its peak power.[111] In its first year, the microgrid saved the airport an estimated $1 million in energy costs.[112]
Neighborhood 91
In 2019, the airport announced the development of Neighborhood 91, a 195-acre hub for additive manufacturing on airport grounds.[113] It is so named because Pittsburgh has 90 distinct neighborhoods. The development will house a complete end-to-end supply chain allowing products to be manufactured and finished in one place and then shipped around the world from the airport. The site is being developed as part of a partnership with the University of Pittsburgh and will have 1.4 million square feet of manufacturing and office space.[114]
Other facilities
Onsite hotel
A Hyatt Regency hotel is located onsite and is directly connected to the landside terminal via moving walkway. The hotel also has a ballroom and meeting facilities. As part of a pilot program, hotel guests were allowed access to the post-security shops and restaurants without an airline ticket as long as they could pass through security. In 2017, airport officials opened post-security access to all non-flying persons who could pass through security, including hotel guests.[115] A Sunoco-branded gas station is also located onsite. Both the hotel and the gas station draw power from the airport's microgrid.
Maintenance facilities
American Airlines still has a maintenance base at Pittsburgh, which dates back to the US Air days. American Airlines maintains and repairs all its Airbus A320 family narrowbody fleet at Pittsburgh. In 2021, it extended its lease at the airport for five years.[116] In 2024, the airline announced an expansion of the Pittsburgh facility to 600 jobs by 2025, making it American Airlines' second-largest maintenance base after Tulsa International Airport.[117]
Republic Airways has also operated a maintenance and repair operations base at the airport since 2006. Its current lease will continue until 2028.[118]
Airlines and destinations
Passenger
Cargo
| Airlines | Destinations | Refs |
|---|---|---|
| Amazon Air | Fort Worth/Alliance, Lakeland | [151] |
| FedEx Express | Indianapolis, Memphis | |
| FedEx Feeder | State College | |
| UPS Airlines | Louisville, Philadelphia |
In 2021, FedEx accounted for 50% of all cargo traffic at the airport, followed by UPS at 33% and Amazon Air at 5%.[103] In 2024, FedEx's share dropped to 45% while UPS's increased to 33% and Amazon Air's increased to 15%. British Airways accounted for 3% of total freight in 2024 by hauling cargo on its passenger planes.[152]
Statistics
Top destinations
| Rank | City | Passengers | Carriers |
|---|---|---|---|
| 1 | 405,930 | Delta, Frontier, Southwest | |
| 2 | 309,470 | Frontier, Southwest, Spirit | |
| 3 | 276,590 | American, United | |
| 4 | 275,810 | American | |
| 5 | 251,660 | Frontier, Southwest, United | |
| 6 | 215,680 | American, Frontier | |
| 7 | 188,010 | American, Delta, Spirit | |
| 8 | 174,830 | Spirit, United | |
| 9 | 167,030 | Southwest, Spirit | |
| 10 | 165,450 | Delta, JetBlue, Spirit |
Airline market share
| Rank | Airline | Passengers | Share |
|---|---|---|---|
| 1 | Southwest Airlines | 2,465,000 | 26.05% |
| 2 | American Airlines | 1,533,000 | 16.20% |
| 3 | Republic Airways | 1,100,000 | 11.63% |
| 4 | Spirit Airlines | 939,000 | 9.93% |
| 5 | Delta Air Lines | 912,000 | 9.64% |
Annual traffic
Annual traffic at PIT
| Year | Passengers | Total cargo
+mail (lbs.) |
|---|---|---|
| 2016 | 8,309,754 | 183,239,577 |
| 2017 | 8,988,016 | 182,062,152 |
| 2018 | 9,658,897 | 192,777,361 |
| 2019 | 9,779,024 | 197,334,846 |
| 2020 | 3,649,270 | 192,560,544 |
| 2021 | 6,354,770 | 249,399,374 |
| 2022 | 8,114,028 | 219,728,523 |
| 2023 | 9,196,564 | 190,499,602 |
| 2024 | 9,945,601 | 200,184,279 |
Accidents and incidents
| Date | Airline | Aircraft type | Description |
| July 28, 2011 | U.S. Army | Lockheed Martin "HALE-D" | An unmanned U.S. Army/Lockheed Martin experimental "HALE-D" airship that took off at 5 am at Wright Patterson Air Force Base crash landed from 32,000 feet at 8:30 am south of the airport between New Freeport and Gilmore.[156] |
| November 22, 2001 | Corporate | Learjet | Crashed after a rapid takeoff in which it went "nose-high" before the Pilot Flying (PF) lost control, both on board were killed.[157][158] |
| September 8, 1994 | USAir Flight 427 | Boeing 737-300 | Crashed on approach from Chicago O'Hare International Airport. All 132 people on board were killed. It resulted in the longest and most thorough NTSB investigation in history. It was determined that a lock occurred in rudder control that caused the plane to fall uncontrollably from 6,000 feet (1,800 m). Boeing has retrofitted every 737 because of the data gathered from this crash. The plane crashed roughly 10 miles (16 km) North-Northwest in Hopewell Township. |
| July 31, 1969 | TWA Flight 79 | Boeing 727 | The plane was hijacked en route from Pittsburgh to Los Angeles International Airport by bank robber Lester Perry Jr. who was being transferred to a new prison. Though accompanied by a U.S. marshal and a correctional officer, Perry was allowed to go to the lavatory unaccompanied where he found a razor blade. He then held hostage a flight attendant and demanded to be taken to Havana, Cuba. Upon landing at José Martí International Airport he sought political asylum from the Cuban government.[159][160] |
| April 1, 1956 | TWA Flight 400 | Martin 4-0-4 | This was a flight from Pittsburgh to Newark. It crashed about a half-mile after taking off when the Captain and First Officer did not immediately correct a small engine malfunction/fire. Due to miscommunication and lack of focus it caused failure and a crash. 22 of the 36 occupants were killed.[161] |
| February 19, 1956 | US Air Force | Republic F-84F Thunderstreak | A Republic F-84F Thunderstreak crashed into a field behind Robinson's Trinity Church after an engine flameout during a training flight. The pilot, Thomas W. Sonnett, did not eject because he feared his aircraft would cause ground fatalities. After the crash, he was pulled from the jet and rushed to Ohio Valley Hospital, where he died from his injuries. He was 32 years old.[162] |
| January 31, 1956 | U.S. Air Force | B-25 Mitchell | North American TB-25N Mitchell 44-29125, on cross country flight from Nellis AFB to Olmsted AFB suffered fuel starvation northeast of the city and attempted to divert to PIT but ditched in the Monongahela River at the 4.9-mile (7.9 km) marker, west of the Homestead Grays Bridge. All six crew evacuate but two are lost in the 35 °F (2 °C) water before rescue. Search was suspended February 14 with no success – aircraft is thought to have possibly settled in submerged gravel pit area in 32 feet (9.8 m) of water, ~150 feet (46 m) from shore, possibly now covered by 10–15 feet of silt. This crash remains one of the region's unsolved mysteries.[163] |
| December 22, 1954 | Military Charter | Douglas DC-3 | Ditched in the Monongahela River with 28 men on board after the pilot reported running out of fuel. 10 died.[164] |
| July 13, 1950 | Private | Beechcraft Commander | Two killed and one injured in a crash at Montour Country Club after engine failure.[165] |
Other events
The airport has been the venue for a number of miscellaneous events. The U.S. Air Force has held several air shows at the airport.[166]
In 1991, over 40,000 people packed the airport to greet the Pittsburgh Penguins when they landed at the airport after winning their first Stanley Cup championship.[167]
See also
References
- ^ Fontaine, Tom. "Pittsburgh adding flights to regional airports". TribLIVE.com.
- ^ a b FAA Airport Form 5010 for PIT PDF, effective April 17, 2025.
- ^ "PIT Airport Final Statistics For 2024" (PDF). flypittsburgh.com. Retrieved February 13, 2025.
- ^ "PIT TRAFFIC REPORT AUGUST 2015: NEW FLIGHTS ON VACATION EXPRESS, ALLEGIANT, SOUTHWEST CONTRIBUTE TO GROWTH - PIT". Archived from the original on October 20, 2015.
- ^ "PIT airport data at skyvector.com". skyvector.com. FAA data effective April 17, 2025.
- ^ "List of Airports in Pennsylvania by SkyVector". skyvector.com. Retrieved August 30, 2024.
- ^ Marriott, Michel (November 12, 1991). "Pittsburgh Builds Airport of Future Now (Published 1991)". The New York Times. Archived from the original on May 7, 2023.
- ^ Pittsburgh to be first airport to allow non-fliers past security since 9/11
- ^ Pittsburgh International Airport considers abandoning $1B terminal's landside building, tram
- ^ a b Belko, Mark (November 11, 2007). "Silence is deafening in airport concourses". Pittsburgh-Post Gazette. Retrieved July 12, 2009.
- ^ a b US Airways' Pittsburgh market share under 40 percent
- ^ a b The Revival of a Once-Bustling Airport
- ^ Promises made and broken: Picking up the pieces left by US Airways’ departure from Pittsburgh
- ^ Despite pandemic, Southwest Airlines still keen on Pittsburgh
- ^ Cargo surges amid passenger declines at Pittsburgh International Airport
- ^ a b Airlines Approve Restart of New PIT Terminal
- ^ Why Pittsburgh’s New Airport Will Be the Right Size for the Future
- ^ a b Pittsburgh International Airport ready to 'move ahead' with $1.1B Terminal Modernization Program
- ^ Airport Authority To Spend $1B Updating Pittsburgh International By 2023
- ^ a b "Non-flyers will have access to Airmall at Pittsburgh International Airport". Pittsburgh Post-Gazette. Retrieved April 16, 2019.
- ^ a b Pittsburgh International Airport Completes Marcellus Shale-Fueled Microgrid
- ^ Pittsburgh's airport shows off plans for new $1.1 billion terminal
- ^ A US Airways airport no more? New vision unveiled for Pittsburgh's airport
- ^ Terminal Project to Restart, New Routes Arrive and Presidential Praise at Pittsburgh International
- ^ "The Pittsburgh Press - Google News Archive Search". The Pittsburgh Press.
- ^ "Pittsburgh Post-Gazette - Google News Archive Search".
- ^ "Pittsburgh Post-Gazette - Google News Archive Search".
- ^ "Pittsburgh Post-Gazette - Google News Archive Search".
- ^ "Pittsburgh Post-Gazette - Google News Archive Search".
- ^ Kalina, Mike (May 19, 1981). "Travel: All aboard for London". Pittsburgh Post-Gazette. Retrieved August 16, 2022.
- ^ Starting May 18th: TWA's London. Only $603 round trip midweek (Advertisement). Trans World Airlines. February 10, 1981.
- ^ Fisher, Ken (August 12, 1981). "County criticizes TWA London service". Pittsburgh Post-Gazette. Retrieved August 16, 2022.
- ^ Lansner, Jonathan (January 20, 1985). "British Airways sets local start-up". The Pittsburgh Press. Retrieved August 16, 2022.
- ^ "Travel link". Centre Daily Times. State College, PA. May 3, 1985. Retrieved July 23, 2023.
- ^ Grata, Joe (May 7, 1985). "Concorde to promote new service". The Pittsburgh Press. Retrieved August 16, 2022.
- ^ Concorde lands (Photograph). Pittsburgh, PA: Associated Press. May 11, 1985.
- ^ "TKA Architects, Inc".
- ^ Gannon, Joyce (January 5, 1990). "USAir to start Frankfurt service". Pittsburgh Post-Gazette. pp. 1, 13.
- ^ "USAir begins Pittsburgh to Frankfurt non-stop service". The Times-Tribune. Scranton, PA. June 17, 1990. Retrieved August 18, 2022.
- ^ US Airways goes on final flight, and skips Pittsburgh
- ^ Pittsburgh International Airport Cargo and Passenger History, 1980–2003. Archived March 4, 2016, at the Wayback Machine Allegheny County Airport Authority.
- ^ "Pittsburgh International Airport's midfield terminal at 20: A shell of its past self – Pittsburgh Post-Gazette". Post-gazette.com. September 30, 2012. Retrieved July 5, 2013.
- ^ a b c d The Long Decline: Pittsburgh International Airport Still Trying to Rebound From the Effects of 9/11
- ^ David Grossman, "Dismantling Pittsburgh: Death of an airline hub.", USA Today, October 15, 2007; Retrieved November 6, 2011.
- ^ "Pittsburgh airport objects to US Airways plan", Charlotte Business Journal, published August 3, 2011, retrieved November 6, 2011.
- ^ "US Air files Chapter 11". CNN Money. September 13, 2004. Retrieved August 18, 2022.
- ^ "U.S. Airways reveals dropped routes list". The Daily News Leader. Staunton, VA. Associated Press. August 13, 2004. Retrieved August 18, 2022.
- ^ Belko, Mark (August 13, 2004). "US Airways to end nonstop Pittsburgh-to-Europe flights". Pittsburgh Post-Gazette. Gale A120627297.
- ^ "US Airways to Resume Pittsburgh-London Service for Summer 2004" (Press release). US Airways. December 9, 2003. ProQuest 451807961.
- ^ "US Airways: Pittsburgh hub worth 17,000 jobs", Charlotte Business Journal, September 17, 2003; retrieved November 6, 2011.
- ^ Dan Fitzpatrick, "Pittsburgh Given Little Chance to Regain Hub Status", Pittsburgh Post-Gazette, p. A8, May 20, 2005; Retrieved November 6, 2011.
- ^ "US Airways to cut Pittsburgh service". Charlotte Business Journal. October 3, 2007. Retrieved November 7, 2011.
- ^ US Airways flight center in Moon may close in a few years, CEO says
- ^ New 9-1-1 Center Opens at Former US Airways Complex
- ^ Belko, Mark (June 2, 2009). "Fliers to Europe can say adieu to delays". Pittsburgh Post-Gazette. pp. A-7, A-8.
- ^ Belko, Mark (September 26, 2017). "Delta's Pittsburgh flight to Paris to get a little bigger". Pittsburgh Post-Gazette. Retrieved August 18, 2022.
- ^ Fontaine, Tom (December 17, 2011). "Pittsburgh International Airport eyes Ohio market with ad blitz". Pittsburgh Tribune-Review. ProQuest 911550382.
- ^ New Terminal at Pittsburgh International Airport May Open in Early Fall
- ^ "How Southwest Airlines helped pull Pittsburgh International Airport back from the brink". Pittsburgh Post-Gazette.
- ^ Wald, Matthew L. (August 11, 2014). "Now Arriving at Pittsburgh International: Fracking". The New York Times. Retrieved July 27, 2025.
- ^ "Allegiant Air is making Pittsburgh a base of operations". Pittsburgh Post-Gazette.
- ^ "Frontier Airlines adds to momentum at Pittsburgh airport". Pittsburgh Post-Gazette.
- ^ Belko, Mark (February 21, 2017). "Spirit Airlines to launch flights from Pittsburgh International Airport". Pittsburgh Post-Gazette. Retrieved February 21, 2017.
- ^ Belko, Mark (January 18, 2019). "Allegheny County Airport Authority wants partial subsidies back from Wow Air". Pittsburgh Post-Gazette. Retrieved July 23, 2023.
- ^ "Icelandair's new direct flights from Pittsburgh have been a hit with locals". Pittsburgh City Paper.
- ^ "United expanding local service to San Francisco". Pittsburgh Business Times. Retrieved April 16, 2019.
- ^ "Alaska Airlines to fly the only nonstop flight from Seattle to Pittsburgh". newsroom.alaskaair.com. November 15, 2017. Retrieved September 21, 2019.
- ^ Belko, Mark (March 27, 2019). "British Airways takes chance on a resurgent Pittsburgh". Pittsburgh Post-Gazette. ProQuest 2197773557.
- ^ "Pittsburgh International hailed as Airport of the Year". Pittsburgh Tribune-Review.
- ^ "Pittsburgh airport to phase out using boarding passes at security checkpoints". Pittsburgh Tribune-Review.
- ^ "Cleared for landing: Grounded planes crowd Pittsburgh International airfield". Pittsburgh Post-Gazette.
- ^ "New airline Breeze Airways brings 4 routes to Pittsburgh airport". Pittsburgh Tribune-Review.
- ^ "Sun Country Airlines to add nonstop service between Pittsburgh International, Minneapolis". Pittsburgh Tribune-Review.
- ^ "Pittsburgh International Airport exceeds pre-pandemic traffic levels for first time". Pittsburgh Post-Gazette.
- ^ Pittsburgh Air Travel Has Best Year in Nearly Two Decades
- ^ "$1.1B approved for reconfiguration of Pittsburgh International, including new landside terminal". Pittsburgh Post-Gazette. September 12, 2017.
- ^ Site work for $1.1 billion airport modernization to start in April
- ^ Airport's $1.1B terminal modernization delayed
- ^ Viewpoint: Kudos to those helping make the airport soar again
- ^ PIT Receives Federal Infrastructure Grant
- ^ PIT Lands Second Federal Infrastructure Grant
- ^ 85 U.S. Airports Split $1B for Infrastructure Upgrades
- ^ An inside look at the construction of Pittsburgh International Airport's new terminal
- ^ New Pittsburgh airport terminal ‘80% complete’ as officials hint at fall 2025 opening
- ^ "2020 CENSUS - CENSUS BLOCK MAP: Findlay township, PA" (PDF). U.S. Census Bureau. p. 3 (PDF p. 4/4). Retrieved July 18, 2024.
Pittsburgh International Arpr
- ^ "2020 CENSUS - CENSUS BLOCK MAP: Moon township, PA" (PDF). U.S. Census Bureau. p. 3 (PDF p. 4/4). Retrieved July 18, 2024.
Pittsburgh Airport Air Reserve Sta
- ^ "Pittsburgh International Airport" (PDF). Federal Aviation Administration. April 2009. Archived from the original (PDF) on November 4, 2008. Retrieved July 12, 2009.
- ^ Fiorilli, Natalie (August 9, 2019). "PIT Offers Safe Haven for Diverted Aircraft". Blue Sky News. Allegheny County Airport Authority. Retrieved June 17, 2025.
- ^ Pittsburgh International Airport emerges as crucial diversion hub amid East Coast weather woes
- ^ "Terminal Maps - PIT". Archived from the original on October 11, 2014. Retrieved November 7, 2011.
- ^ "Pittsburgh, PA (PIT)". American Airlines. Retrieved November 3, 2015.
- ^ The Club, a Pittsburgh airport lounge for anybody, moves to its permanent home on Concourse C
- ^ An expanded Club at Pittsburgh International Airport
- ^ "myPITpass | Fly Pittsburgh". flypittsburgh.com. Retrieved January 31, 2024.
- ^ "Go Fast Pass". Grant Oliver Corporation. 2007. Archived from the original on July 13, 2009. Retrieved July 12, 2009.
- ^ Belko, Mark (July 16, 2022). "Longtime Pittsburgh International Airport parking operator loses out to national firm". Pittsburgh Post-Gazette. Retrieved March 19, 2023.
- ^ LAZ Parking. "Homepage". Pittsburgh International Airport Parking. Retrieved March 19, 2023.
- ^ "Home". PIT Express Pass. Retrieved November 25, 2023.
- ^ a b "PIT – Parking : Onsite Parking Guide". Allegheny County Airport Authority. March 25, 2009. Archived from the original on June 6, 2009. Retrieved July 12, 2009.
- ^ Short-term parking rates rise at Pittsburgh airport while new economy lot offers $7 daily rate
- ^ "Grey Line". MountainLine Transit. Archived from the original on July 21, 2012. Retrieved February 17, 2010.
- ^ "Onorato, Airport Authority Announce Letter of Intent with Xian Xianyang International Airport for Air Cargo Development". Allegheny County Airport Authority. November 15, 2007. Archived from the original on September 28, 2011. Retrieved November 20, 2011.
- ^ a b c d e Cargo sees a big boost at the airport, and it's not just because more people are shopping online
- ^ "Worldwide Flight Services Cargo Handling Facilities at PIT Receives TSA Certification". Allegheny County Airport Authority. June 12, 2009. Archived from the original on April 7, 2012. Retrieved November 20, 2011.
- ^ Cargo continues to take off at Pittsburgh International Airport, reaching nearly 250 million pounds in 2021
- ^ "Airport Authority and LSG Sky Chefs Announce Opening of New Frozen Food Facility Located at PIT". Allegheny County Airport Authority. June 4, 2008. Archived from the original on September 28, 2011. Retrieved November 20, 2011.
- ^ Construction begins on Pittsburgh International Airport microgrid
- ^ PIT Will Be First Major U.S. Airport Powered Entirely by Microgrid
- ^ PIT Becomes First Airport to Power Itself with Natural Gas, Solar
- ^ Pittsburgh International Airport Completes Gas- And Solar-Powered Microgrid
- ^ Pittsburgh Airport’s Microgrid Is A Worthy But Tough To Duplicate Example Of Resiliency
- ^ How a microgrid saved Pittsburgh International Airport $1 million
- ^ Airport sees potential for 1,000 jobs at new site devoted to additive manufacturing
- ^ Top 10 Pittsburgh developments to watch in 2022
- ^ PITTSBURGH AIRPORT OPENS ITS GATES TO NON-FLYERS
- ^ American Airlines Extends Lease at PIT Base
- ^ American says PIT ‘Fits the Bill’ to Add Maintenance Jobs
- ^ Republic Airways gets hangar lease extension at Pittsburgh International Airport
- ^ "Flight Schedules". Retrieved January 7, 2017.
- ^ https://www.pittsburghmagazine.com/air-canada-to-resume-flights-between-pittsburgh-to-montreal-this-summer/
- ^ Airlines, Alaska. "Flight timetable". Alaska Airlines. Retrieved April 6, 2020.
- ^ "Find cheap flights to and from your city | Allegiant Interactive Route Map".
- ^ "American Airlines to add daily nonstop flights between Pittsburgh and LA". Trib Live. December 17, 2024. Retrieved December 17, 2024.
- ^ "American Airlines Adds 8 New Routes For Winter 2025-26". Aviation A2Z. March 26, 2025. Retrieved March 26, 2025.
- ^ a b "Flight schedules and notifications". Retrieved December 4, 2024.
- ^ American Airlines Adds Flights to Cancun and Punta Cana
- ^ Donovan, Spencer (February 5, 2025). "Breeze Airways announces 4 new destinations from Greenville-Spartanburg airport". The Post and Courier. Retrieved February 5, 2025.
- ^ Belko, Mark (January 10, 2024). "Discount carrier Breeze Airways to add seasonal flight from Pittsburgh to San Diego". The Pittsburgh Post-Gazette. Retrieved January 10, 2024.
- ^ "Flight Deals to Pittsburgh, PA". Retrieved May 21, 2021.
- ^ "Timetables". British Airways.
- ^ Megan Swift (June 21, 2024). "Salt Lake City nonstop flight returns to Pittsburgh International Airport". Pittsburgh Tribune-Review. Retrieved June 21, 2024.
- ^ a b "Flight Status & Notifications". Delta Air Lines. Retrieved December 5, 2024.
- ^ "Delta Air Lines Adds New Routes from Orlando, Austin, JFK and More". May 2, 2025.
- ^ Frontier Airlines announces nonstop service from Pittsburgh to Philadelphia
- ^ "Traveling From Pittsburgh, PA". Retrieved July 23, 2025.
- ^ Mark Belko (November 2, 2023). "Pittsburgh International Airport to get seasonal nonstop to Iceland in May". Pittsburgh Post-Gazette. Retrieved November 2, 2023.
- ^ "Our flight schedule". Retrieved November 2, 2023.
- ^ "JetBlue Enhances Summer Travel with New Routes and Destinations, Strengthening its East Coast Network". Business Wire. January 15, 2025.
- ^ "JetBlue Airlines Timetable". Archived from the original on July 13, 2013. Retrieved June 14, 2021.
- ^ "Destinations". Retrieved January 7, 2017.
- ^ "Airlines to Add, Resume Routes from PIT This Spring". January 13, 2025.
- ^ "SOUTHWEST ADDS MORE FLIGHTS FOR POPULAR EVENTS; PUBLISHES INITIAL REDEYE SERVICE AND NEW ROUTES SPANNING THE COUNTRY". Fox44News. Retrieved July 26, 2024.
- ^ "Southwest Airlines Unveils 10 New, Non-Stop Flights to Myrtle Beach". March 25, 2021.
- ^ "Southwest to Offer Nonstop Flights Between Pittsburgh and San Diego". October 31, 2023.
- ^ "Southwest Airlines to add seasonal flight to San Diego from Pittsburgh".
- ^ "Southwest Airlines - Check Flight Schedules". Retrieved November 10, 2018.
- ^ "Where We Fly". Retrieved January 29, 2017.
- ^ Sun Country Airlines to add nonstop service between Pittsburgh International, Minneapolis
- ^ "Archived copy". Archived from the original on December 23, 2024.
{{cite web}}: CS1 maint: archived copy as title (link) - ^ a b "Timetable". Archived from the original on January 28, 2017. Retrieved January 7, 2017.
- ^ Amazon Air Launches Daily Cargo Service at Pittsburgh International Airport
- ^ Pittsburgh Air Travel Has Best Year in Nearly Two Decades
- ^ "RITA - BTS - Transtats". Bureau of Transportation Statistics. Retrieved April 28, 2025.
- ^ Pittsburgh International Airport, [1]. Accessed April 28, 2025.
- ^ "Pittsburgh Int'l Airport Annual Passengers and Total Cargo Data 2016-Present". flypittsburgh.com. Retrieved June 21, 2024.
- ^ "Blimp experiment falls flat". Pittsburgh Post-Gazette. Archived from the original on January 31, 2013.
- ^ Ricks, Linda (May 29, 2008). "Learjet crashes on takeoff". Aviation International News. Archived from the original on March 9, 2012. Retrieved October 24, 2013.
- ^ "Accident description". Retrieved October 24, 2013.
- ^ Michael Newton (2002). The Encyclopedia of Kidnappings. Infobase Publishing. p. 226. ISBN 978-1-4381-2988-4.
- ^ "ASN Aircraft accident Boeing 727 registration unknown Havana-José Martí International Airport (HAV)".
- ^ "Accident Synopsis 04011956". AirDisaster.com. Archived from the original on October 17, 2015.
- ^ "True Hero: Fighter jet pilot avoids inhabitants in 1956 Robinson crash". April 28, 2021.
- ^ D'Costa, Ian (May 12, 2015). "The Ghost Bomber of the Monongahela River". tacairnet.com. The Tactical Air Network. Retrieved September 12, 2015.
- ^ "Pittsburgh, PA Plane Crashes Into River, Dec 1954". Archived from the original on September 21, 2012. Retrieved November 15, 2011.
- ^ "Pittsburgh, PA Private Plane Crash, July 1950". Archived from the original on January 27, 2022. Retrieved November 8, 2021.
- ^ Pittsburgh air show gives added lift to Mother's Day
- ^ ‘It was mayhem’: The night 40,000 packed the Pittsburgh airport to see the Penguins and their first Stanley Cup
External links
- FlyPittsburgh.com official site
- PennDOT Bureau of Aviation: Pittsburgh International Airport
- Airmall
- FAA Airport Diagram (PDF), effective August 7, 2025
- Resources for this airport:
- AirNav airport information for KPIT
- ASN accident history for PIT
- FlightAware airport information and live flight tracker
- NOAA/NWS weather observations: current, past three days
- SkyVector aeronautical chart for KPIT
- FAA current PIT delay information
- 1993 USAir Pittsburgh International Arrivals video



